Superficie
Vani
Camere
Bagni
Descrizione
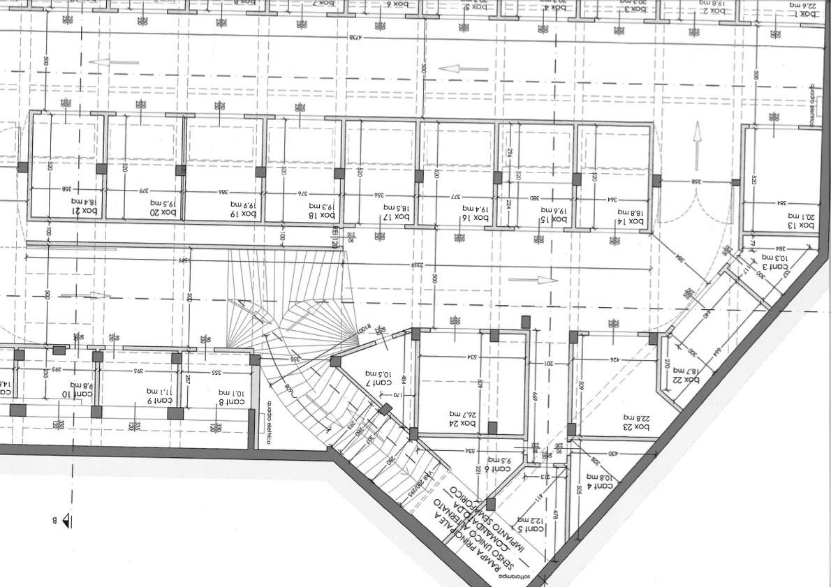
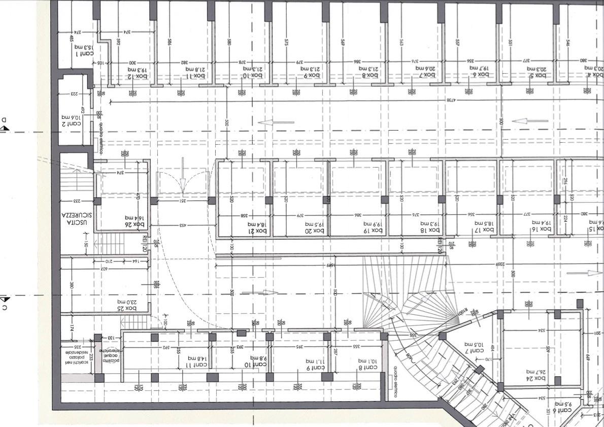
Il progetto approvato prevede due rampe che sono esistenti di cui una è l' accesso carrabile e l'altra è l'uscita di sicurezza. Per maggiori informazioni sul progetto contatatte in agenzia il prezzo di partenza è 450 000 trattabile.
Caratteristiche
- Prezzo
- € 450.000 Trattabili
- Contratto
- Vendita
- Tipologia
- Box
- Riferimento
- gev2
- Superficie
- 1200 m2
- Condizioni
- Da ristrutturare
- Vani
- 37
- Posti auto
- 26
- Piano
- Interrato
- Riscaldamento
- No
- Condizionatore
- No
- Arredamento
- Non arredato
- Cucina
- n.d.
- Garage
- 1 (20 m2)
- Prest. Energ. Inverno
- 0
Classe energetica
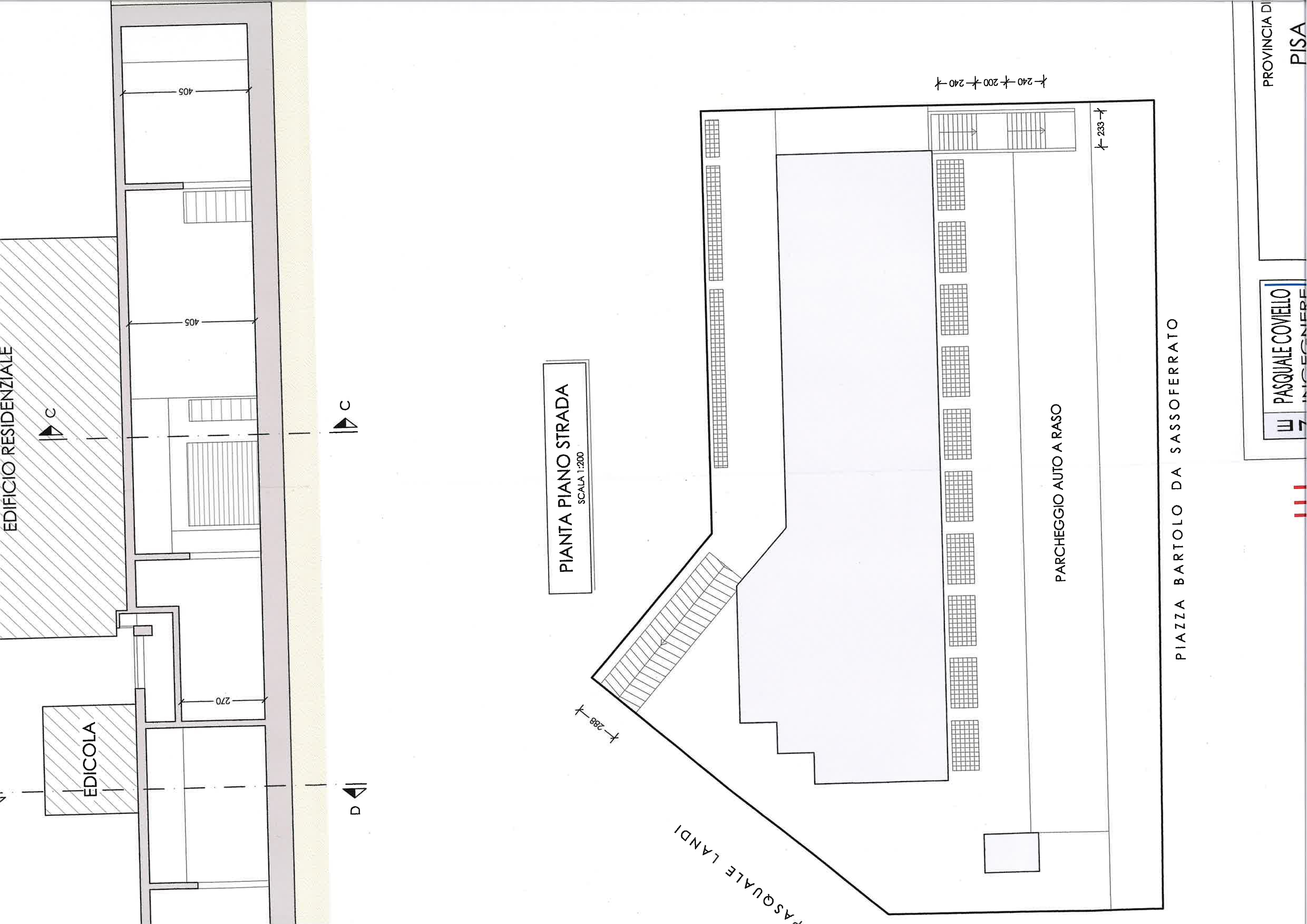
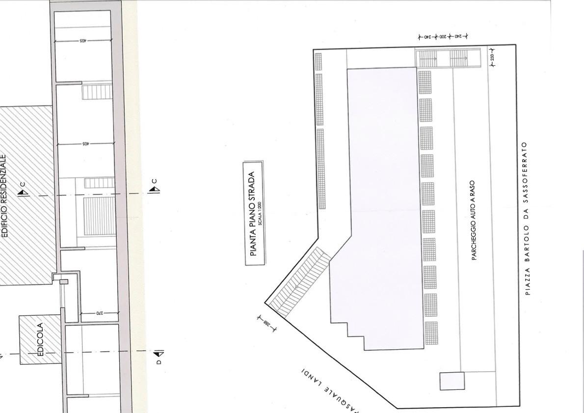
Planimetrie
Contatta l'agenzia
- GENOVESI Agenzia Immobiliare
- Via P. Landi, 6 angolo P.zza Bartolo Da Sassoferrato 14
- Pisa (PI)
Rif. annuncio: gev2
- Visitato 28 volte
- Salvato tra i preferiti 0 volte
Salva le ricerche per ricevere notifiche per i nuovi annunci inseriti e per quelli che hanno cambiato prezzo.
Non sei ancora registrato? Registrati subito!
- GENOVESI Agenzia Immobiliare
- Via P. Landi, 6 angolo P.zza Bartolo Da Sassoferrato 14
- Pisa (PI)
Rif. annuncio: gev2
Il proprietario preferisce non mostrare l'indirizzo esatto, l'immobile più o meno si trova qui...
- Via Pasquale Landi, 6
- Landi, Pisa (PI)
Calcola mutuo
I risultati ottenuti sono indicativi perchè calcolati sui dati inseriti.







